Contenuto della Pagina
Ripristino della linea tranviaria Acton-Sannazzaro: dal 22 aprile al 22 giugno 2025 proseguono i lavori
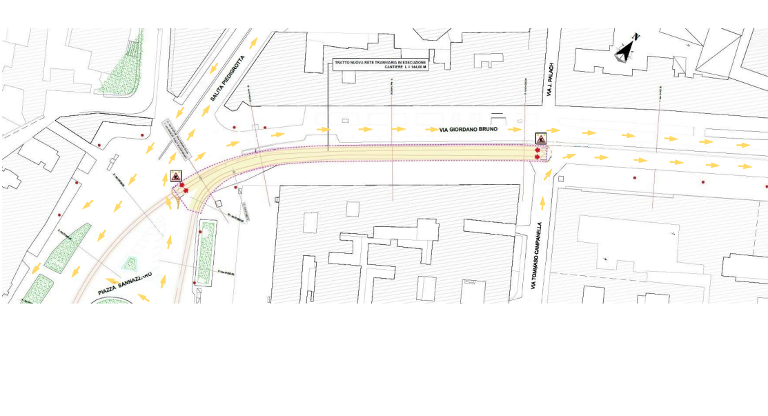
Dal 22 aprile al 22 giugno 2025 è prevista un’ulteriore tranche di lavori per la valorizzazione e il ripristino
della linea tranviaria del tratto Via Acton - Piazza Sannazaro, cantiere iniziato lo scorso 7 aprile.
In particolare, questa fase di lavori interesserà un primo tratto di via Giordano Bruno, compreso tra
piazza Sannazzaro e via Tommaso Campanella, per l’esecuzione dei quali è necessaria l’istituzione
di un particolare dispositivo di traffico:
- divieto di transito veicolare nel tratto di via Giordano Bruno, compreso tra piazza Sannazzaro
e via Tommaso Campanella;
- senso unico di marcia nel tratto di via Giordano Bruno compreso tra via Tommaso Campanella
e via Ferdinando Galiani;
- senso unico di marcia in via Riviera di Chiaia nel tratto compreso tra via Ferdinando Galiani
e via Giambattista Pergolesi.
Per quanto riguarda il percorso delle linee bus, i mezzi diretti verso Fuorigrotta e/o Posillipo saranno
deviati su via Piedigrotta, mentre i bus provenienti da Posillipo e/o Fuorigrotta saranno deviati su via
Caracciolo e, in piazza della Repubblica, riprenderanno il regolare percorso in Riviera di Chiaia in
direzione piazza Vittoria.
Pertanto saranno temporaneamente istituite fermate provvisorie.
Si ricorda che complessivamente i lavori di valorizzazione e ripristino della linea tranviaria prevedono
la posa di un materassino antivibrante sottostante le traverse ormai deteriorate, che consentirà di
ridurre le attuali fastidiose vibrazioni.
"Il ripristino ed estensione del tram del mare rappresenta un importante traguardo di mobilità
sostenibile per cittadini e turisti complementare al sistema delle metropolitane” - ha ricordato
l'Assessore alle Infrastrutture - “anche se la fase di cantiere crea situazioni di inevitabile disagio”.

Cantierizzazione via Giordano Bruno